T-250
間取り図
詳細・設備・条件・取引について
基本
| 問い合わせ番号 | s-h-1214_4_779 | ||
|---|---|---|---|
| アクセス | 青い森 三沢 | 種別 | 土地 |
| 所在地 |
青森県十和田市東二十二番町 16-546
|
学校区 | 東小 東中 |
| 問い合わせ番号 | s-h-1214_4_779 |
|---|---|
| アクセス | 青い森 三沢 |
| 種別 | 土地 |
| 所在地 |
青森県十和田市東二十二番町 16-546
|
| 学校区 | 東小 東中 |
費用
| 価格 | 550万円 | 公庫・融資 | - |
|---|---|---|---|
| 借地期間 | - | 地代 | - |
| 価格 | 550万円 |
|---|---|
| 公庫・融資 | - |
| 借地期間 | - |
| 地代 | - |
土地
| 土地権利 | 所有権 | 土地持分 | - |
|---|---|---|---|
| 土地面積 (公簿) | 330.05m 2 ( 99.84坪 ) | 土地面積 (実測) | - |
| 私道負担面積 | - | 私道負担割合 | - |
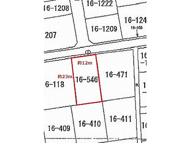
| セットバック | 無 | 接道 |
北 公道4m (接12m)
|
| 建蔽率 | 60% | 容積率 | 200% |
| 地目 | 宅地 | 地勢 | 平坦 |
| 都市計画 | 非線引区域 | 用途地域 | 第一種中高層住居 |
| 防火 | - | 高度地区 | - |
| 国土法届出 | 不要 | 建築条件 | - |
| その他法令上の制限 | - | ||
| 土地権利 | 所有権 |
|---|---|
| 土地持分 | - |
| 土地面積 (公簿) | 330.05m 2 ( 99.84坪 ) |
| 土地面積 (実測) | - |
| 私道負担面積 | - |
| 私道負担割合 | - |
| セットバック | 無 |
| 接道 |
北 公道4m (接12m)
|
| 建蔽率 | 60% |
| 容積率 | 200% |
| 地目 | 宅地 |
| 地勢 | 平坦 |
| 都市計画 | 非線引区域 |
| 用途地域 | 第一種中高層住居 |
| 防火 | - |
| 高度地区 | - |
| 国土法届出 | 不要 |
| その他法令上の制限 | - |
設備・条件
| こだわり条件 |
|
設備・条件 | 上下水道の現地調査が必要です。 |
|---|
| こだわり条件 | |
|---|---|
| 設備・条件 | 上下水道の現地調査が必要です。 |
その他
| 現況 ・ 入居 | 更地 ・ 即時 | 取引態様 | 仲介 |
|---|---|---|---|
| 次回更新日 | 2026/02/13 | 担当者 | 蛯名成綱(えびなせいご) |
| 現況 ・ 入居 | 更地 ・ 即時 |
|---|---|
| 取引態様 | 仲介 |
| 次回更新日 | 2026/02/13 |
| 担当者 | 蛯名成綱(えびなせいご) |
こちらの物件もあります。
362万 円
青森県上北郡おいらせ町上明堂
青い森 三沢
150万 円
青森県三沢市六川目
青い森 三沢
1250万 円
青森県八戸市十八日町
八戸線 本八戸
860万 円
青森県十和田市西二十二番町
470万 円
青森県十和田市三本木
青い森鉄道 三沢
230万 円
青森県八戸市根城
JR八戸線 八戸
100万 円
青森県八戸市美保野
八戸線 大久喜
222万 円
青森県上北郡おいらせ町浜道
青い森鉄道 向山
350万 円
青森県上北郡六戸町犬落瀬(内金矢、内山、岡沼、金沢、金矢、上淋代、木越、権現沢、
青い森鉄道 三沢
140万 円
青森県十和田市奥瀬
250万 円
青森県上北郡おいらせ町鶉久保山
350万 円
青森県八戸市桜ケ丘
八戸線 白銀
3674万 円
青森県八戸市根城
八戸線 本八戸
600万 円
青森県十和田市東二十四番町
青い森鉄道 三沢
250万 円
青森県上北郡おいらせ町中平下長根山
青い森 下田

T-250の詳しい情報やお問い合わせはこちら!
お問い合わせ先:㈱サンロク 賃貸部 リアルエステート
免許番号:国土交通省(3)第8138号
営業時間:
TEL:0176-51-1420